Venmo
research • design • prototype
Venmo
research • design • prototype



Venmo
Venmo
speculative project - adding a feature • june 2023
speculative project - adding a feature
june 2023
a popular payment tool, updated to make splitting the check a simple process
a popular payment tool, updated to make splitting the check a simple process
Venmo is a mobile fintech app that enables users to send and receive money securely and effortlessly. In addition to peer-to-peer payments, Venmo offers its own credit and debit cards, supports business accounts, and allows users to buy cryptocurrency directly within the app, making it a versatile platform for managing everyday financial transactions.
Venmo is a mobile fintech app that enables users to send and receive money securely and effortlessly. In addition to peer-to-peer payments, Venmo offers its own credit and debit cards, supports business accounts, and allows users to buy cryptocurrency directly within the app, making it a versatile platform for managing everyday financial transactions.
opportunity areas within Venmo
opportunity areas within Venmo
While Venmo is widely used and well known for quick payments, it currently offers limited options for splitting expenses. Currently, users can easily split payments equally, but there is no simple way to divide an itemized bill like shared meals or group purchases where costs vary by person. This gap creates friction and often requires manual calculations or split transactions. To address this need, we explored a feature that allows users to split payments by individual items, making the experience efficient and aligned with real-world spending habits.
While Venmo is widely used and well known for quick payments, it currently offers limited options for splitting expenses. Currently, users can easily split payments equally, but there is no simple way to divide an itemized bill like shared meals or group purchases where costs vary by person. This gap creates friction and often requires manual calculations or split transactions. To address this need, we explored a feature that allows users to split payments by individual items, making the experience efficient and aligned with real-world spending habits.
understanding the competition and our users
understanding the competition and our users
While there are other check splitting apps out there, the goal is to eliminate the need for users to open multiple apps in order to complete one task. Because Venmo is well known already and popular for sending and receiving payments, we decided that this feature would be most effective on this app.
We compared 4 different check splitting apps. These included Tab, Splitwise, Settle Up, and Splid. We compared their overall UI, features, strengths, weaknesses, opportunities, and threats. Overall, they were similar in purpose, but different in UI and included features.
We conducted moderated user interviews with 5 participants who were familiar with Venmo to understand their habits behind using the app. We wanted to understand the value behind adding a tab splitting feature and justify the need for this addition.
While there are other check splitting apps out there, the goal is to eliminate the need for users to open multiple apps in order to complete one task. Because Venmo is well known already and popular for sending and receiving payments, we decided that this feature would be most effective on this app.
We compared 4 different check splitting apps. These included Tab, Splitwise, Settle Up, and Splid. We compared their overall UI, features, strengths, weaknesses, opportunities, and threats. Overall, they were similar in purpose, but different in UI and included features.
We conducted moderated user interviews with 5 participants who were familiar with Venmo to understand their habits behind using the app. We wanted to understand the value behind adding a tab splitting feature and justify the need for this addition.



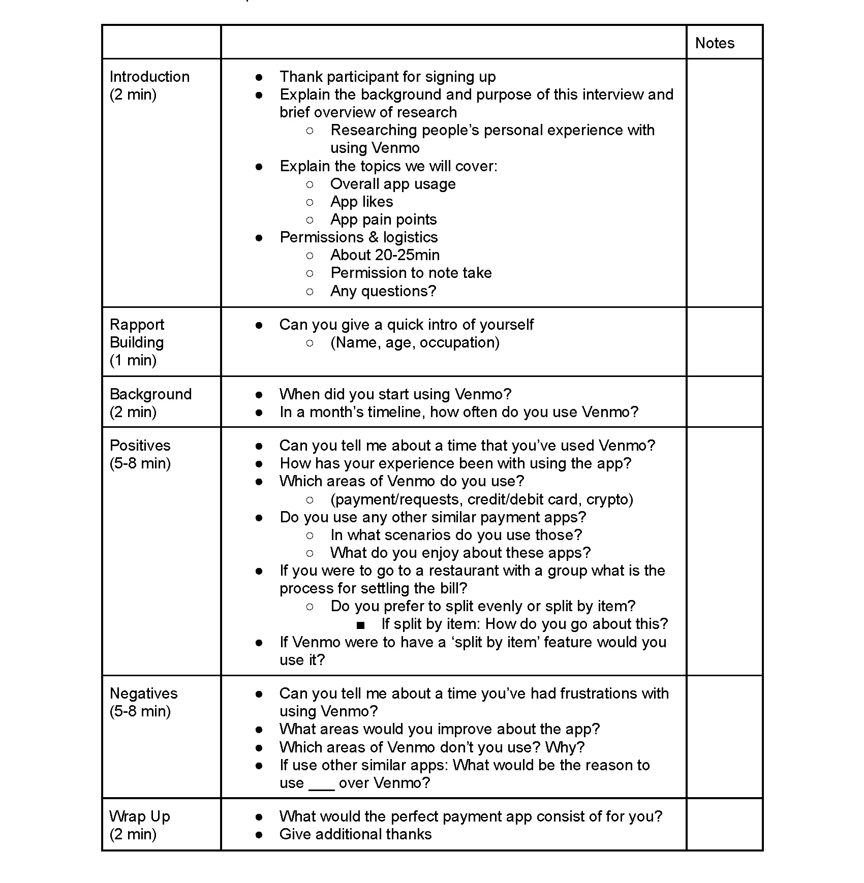
Image above: Snippet of the interview guide used for user interviews
high-level insights
high-level insights
General Observations:
• All participants have used Venmo for 9+ years
• All participants only use Venmo for transactions among friends
• All participants do not use Venmo’s other features (credit/debit card, crypto)
• All participants would utilize an itemized tab feature
• All participants enjoy the convenience of Venmo
• 3/5 said they would want the transaction to be populated through a photo of the bill
Participant Goals:
• Participants seek a simple and straightforward way to split a check within a group of people
• Participants prioritize the ease of quick transactions when making or receiving payments
Pain Points:
• Security within payment apps is a major concern for all participants
• Venmo's additional features outside of transactions are not utilized by participants
• 2/5 participants feel frustration when needing to download multiple apps to achieve one goal
Research conclusion:
Overall, the research provided valuable insight into why users choose Venmo and validated our initial problem hypothesis. The research results confirmed that users are seeking a trusted, well-known payment app that supports easy tab splitting while maintaining strong security. Simplicity and reliability emerged as key priorities, reinforcing the need for a straightforward experience that allows users to feel confident when needing to manage shared payments.
General Observations:
• All participants have used Venmo for 9+ years
• All participants only use Venmo for transactions among friends
• All participants do not use Venmo’s other features (credit/debit card, crypto)
• All participants would utilize an itemized tab feature
• All participants enjoy the convenience of Venmo
• 3/5 said they would want the transaction to be populated through a photo of the bill
Participant Goals:
• Participants seek a simple and straightforward way to split a check within a group of people
• Participants prioritize the ease of quick transactions when making or receiving payments
Pain Points:
• Security within payment apps is a major concern for all participants
• Venmo's additional features outside of transactions are not utilized by participants
• 2/5 participants feel frustration when needing to download multiple apps to achieve one goal
Research conclusion:
Overall, the research provided valuable insight into why users choose Venmo and validated our initial problem hypothesis. The research results confirmed that users are seeking a trusted, well-known payment app that supports easy tab splitting while maintaining strong security. Simplicity and reliability emerged as key priorities, reinforcing the need for a straightforward experience that allows users to feel confident when needing to manage shared payments.



Image above: Low fidelity wireframes exploring the functionality of a tab splitting feature
low-fidelity wireframing
low-fidelity wireframing
We started with low-fidelity wireframes to explore how itemized bill splitting could feel natural within Venmo’s existing ecosystem. Rather than jumping straight into visual design, we focused on shaping a clear, end-to-end experience that reduces friction and mirrors how users already send and request money. This allowed us to test assumptions early and ensure the flow supports real world group payment behaviors.
The experience begins by adding the party members involved, grounding the feature in Venmo’s familiar pay/request flow. From there, users can scan a photo of their receipt to quickly capture individual items, eliminating manual entry. Each item can then be assigned to the appropriate person, with tax and tip added before a final review. The flow ends with a clear confirmation step, giving users confidence before sending payment requests and closing the loop on a shared expense.
We started with low-fidelity wireframes to explore how itemized bill splitting could feel natural within Venmo’s existing ecosystem. Rather than jumping straight into visual design, we focused on shaping a clear, end-to-end experience that reduces friction and mirrors how users already send and request money. This allowed us to test assumptions early and ensure the flow supports real world group payment behaviors.
The experience begins by adding the party members involved, grounding the feature in Venmo’s familiar pay/request flow. From there, users can scan a photo of their receipt to quickly capture individual items, eliminating manual entry. Each item can then be assigned to the appropriate person, with tax and tip added before a final review. The flow ends with a clear confirmation step, giving users confidence before sending payment requests and closing the loop on a shared expense.
visual design
visual design
Because we're following Venmo's current design system, we ensured our additional screens for our feature mirrored the existing UI. We utilize the same components including buttons, fonts, checkmarks, and more. We were diligent to not implement any new designs that did not match or disrupt Venmo's branding guidelines.
Because we're following Venmo's current design system, we ensured our additional screens for our feature mirrored the existing UI. We utilize the same components including buttons, fonts, checkmarks, and more. We were diligent to not implement any new designs that did not match or disrupt Venmo's branding guidelines.



Image above: High fidelity wireframes showcasing the functionality behind tab splitting
prototype testing with users
prototype testing with users
Using high-fidelity wireframes, we built an interactive prototype in Figma to evaluate how the new feature performs across users. We conducted unmoderated usability tests through Maze with 14 participants to assess whether key tasks were clear, intuitive, and achievable. This approach allowed us to observe how participants moved through the flow, identify points of friction or confusion, and evaluate the overall clarity of the new experience presented in the prototype.
Using high-fidelity wireframes, we built an interactive prototype in Figma to evaluate how the new feature performs across users. We conducted unmoderated usability tests through Maze with 14 participants to assess whether key tasks were clear, intuitive, and achievable. This approach allowed us to observe how participants moved through the flow, identify points of friction or confusion, and evaluate the overall clarity of the new experience presented in the prototype.
our results speak for themselves
our results speak for themselves
93.4%
93.4%
overall direct success rate
overall direct success rate
10/14 participants
10/14 participants
participants rated the ease of the experience at least 4 out of 5
participants rated the ease of the experience at least 4 out of 5
iterations from feedback
iterations from feedback
Our research revealed that some users experienced confusion when adding party members, as this step closely resembled Venmo’s current search functionality. While participants struggled in the same area of the flow, the reasons differed, signaling a broader usability issue rather than isolated misunderstandings. Based on users' feedback, we identified an opportunity to rethink this step in order to improve clarity and reduce friction.
To address this, we redesigned the UI to present a pre-populated list of the user’s top people and friends, allowing users to make selections quickly and confidently. The user initiating the split is automatically selected, with the option to deselect if needed. By leveraging an existing pattern within Venmo’s current UI, this update creates a more familiar, seamless experience for adding participants to a split.
Our research revealed that some users experienced confusion when adding party members, as this step closely resembled Venmo’s current search functionality. While participants struggled in the same area of the flow, the reasons differed, signaling a broader usability issue rather than isolated misunderstandings. Based on users' feedback, we identified an opportunity to rethink this step in order to improve clarity and reduce friction.
To address this, we redesigned the UI to present a pre-populated list of the user’s top people and friends, allowing users to make selections quickly and confidently. The user initiating the split is automatically selected, with the option to deselect if needed. By leveraging an existing pattern within Venmo’s current UI, this update creates a more familiar, seamless experience for adding participants to a split.



Image above: A "before and after" showing how to add party members when splitting a check
project takeaways
project takeaways
Overall, the introduction of an itemized check-splitting feature for Venmo was successful. Through multiple iterations, we received consistently positive feedback and validated that users would find value in and actively use this feature. The process helped us better understand how users naturally navigate shared payment scenarios, allowing us to design a smooth, intuitive flow that integrates seamlessly into the existing Venmo experience.
We encountered challenges in accounting for real world scenarios involved in splitting a check among groups. With a wide range of potential edge cases, we focused on designing a flexible solution that could support the majority of user needs. This included addressing questions such as whether the initiating user is included in the split, how disagreements around tip amounts are handled, and how the experience differs for users joining a split versus initiating one. Exploring these considerations strengthened the feature and ensured it works effectively from multiple perspectives.
Overall, the introduction of an itemized check-splitting feature for Venmo was successful. Through multiple iterations, we received consistently positive feedback and validated that users would find value in and actively use this feature. The process helped us better understand how users naturally navigate shared payment scenarios, allowing us to design a smooth, intuitive flow that integrates seamlessly into the existing Venmo experience.
We encountered challenges in accounting for real world scenarios involved in splitting a check among groups. With a wide range of potential edge cases, we focused on designing a flexible solution that could support the majority of user needs. This included addressing questions such as whether the initiating user is included in the split, how disagreements around tip amounts are handled, and how the experience differs for users joining a split versus initiating one. Exploring these considerations strengthened the feature and ensured it works effectively from multiple perspectives.



Image above: A couple of the final wireframes for this new split tab feature
wow that was a lot. treat yourself to a well-earned break
wow that was a lot. treat yourself to a well-earned break
wow that was a lot. treat yourself to a well-earned break
your next read
other featured works that helped streamline human experiences
your next read
other featured works that helped streamline human experiences


